El Servicio Meteorológico Nacional (SMN) informó que durante la temporada de huracanes 2025, que se desarrolló de mayo a noviembre, se formaron en México 31 ciclones con nombre, uno más que los 30 registrados en 2024.
De acuerdo con la Comisión Nacional del Agua (Conagua), en el océano Atlántico se contabilizaron 13 sistemas: ocho tormentas tropicales, un huracán categoría 2 y cuatro huracanes mayores, clasificados entre las categorías 3 y 5.
En el Pacífico se presentaron 18 ciclones, de los cuales ocho fueron tormentas tropicales, siete huracanes de categoría 1 o 2 y tres huracanes mayores.
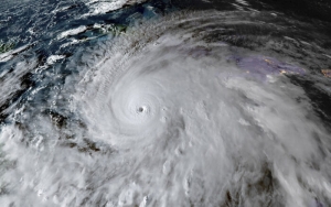
El organismo destacó que la temporada 2025 en el Atlántico fue la segunda con más huracanes categoría 5, con Erin, Humberto y Melissa, igualando lo ocurrido en 2017 y quedando solo por debajo del récord de 2005.
En el Pacífico, la actividad se mantuvo constante desde el inicio, y el fenómeno más relevante fue Erick, que el 19 de junio alcanzó la categoría 4, convirtiéndose en el huracán con la intensificación más temprana registrada en esa cuenca.
En cuanto a los efectos en México, solo dos ciclones tropicales tocaron territorio nacional, una cifra inferior al promedio climatológico del periodo 1991–2020. No obstante, seis sistemas del Pacífico se desplazaron cerca de las costas sin impactar directamente, aunque provocaron lluvias, oleaje elevado y vientos fuertes.
Durante la temporada, en el Atlántico se formaron los ciclones Andrea, Barry, Chantal, Dexter, Erin, Fernand, Gabrielle, Humberto, Imelda, Jerry, Karen, Lorenzo y Melissa.
En el Pacífico se desarrollaron Alvin, Barbara, Cosme, Dalila, Erick, Flossie, Gil, Henriette, Ivo, Juliette, Kiko, Lorena, Mario, Narda, Octave, Priscilla, Raymond y Sonia.
Además, se registraron 40 ondas tropicales entre mayo y noviembre, ligeramente por encima del promedio histórico de 38.
El Servicio Meteorológico subrayó que las lluvias asociadas a estos sistemas favorecieron la recuperación del almacenamiento de agua en las presas del país, que alcanzó un máximo del 72 %, superior al 64 % de 2024.
Más de 80 presas superaron el 100 % de su nivel máximo ordinario, mientras que el Sistema Cutzamala llegó al 97 %, frente al 67 % del año anterior.
Los mayores incrementos en los niveles de almacenamiento se observaron en Sinaloa, Chiapas, Jalisco, Michoacán, Oaxaca y Sonora.


Lectura 1 - 2 minutos